
堺市南区晴美台1丁目の売土地のご紹介です♪
建築条件無しのためお好きな
ハウスメーカや工務店で建築いただけます♪
角地の為通風良好♪
お気軽にお問い合わせください♪
| 物件名 | No.11655535 堺市南区 晴美台1丁 |
||
|---|---|---|---|
| 種別 | 売り土地 売地 (現況:上物有) | ||
| 所在地 | 堺市南区晴美台1丁 | ||
| 交通 | バス乗車20分 |
||
| 価格 | 2,880万円 (消費税:) | ||
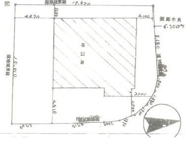
| 土地(実測) | 土地(公簿) | 251.77m2 | |

| 引渡時期 | 引渡年月 | ||
|---|---|---|---|
| 私道面積 | 地目 | 宅地 | |
| 土地権利 | 所有権 | 地勢 | 平坦 |
| 建蔽率 | 40% | 容積率 | 80% |
| 接道状況 | 角地 | 国土法届出 | |
| 接道方向 | 北側 | 接道幅員 | 6.7m |
| 接道方向 | 東側 | 接道幅員 | 6.3m |
| 接道内容 | |||
| 用途地域 | 第一種低層住居専用地域 | ||
| 都市計画 | 市街化 | ||
| 他制限 | |||
| 学校 | 堺市立はるみ小学校 堺市立晴美台中学校 | ||
| 設備 | |||
| 開発許可番号 | |||
| 備考 | ※建物木造一部鉄骨2階建て 延床面積1863.56平米 ※外壁後退1m 高さ制限10m (S/W) |
||
取引態様 仲介 更新日 2026-03-06
リウイルトラスト 本店

〒598-0007
大阪府泉佐野市上町1丁目11-45
【店舗紹介・アクセスマップ】
リウイルトラスト 和泉中央店

〒594-1104
大阪府和泉市万町60-6
【店舗紹介・アクセスマップ】
受付時間/9:00〜18:00
定休日/火曜・水曜