おすすめ
電話でのお問合せはこちら 
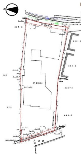
◇土地面積:約378.46平米 ◇建築条件無し♪お好きなハウスメーカー・工務店で建築可能 ◇水間鉄道水間線「石才」徒歩約5分♪
貝塚市麻生中より売地のご紹介です!
建築条件なし!お好きなハウスメーカーや工務店でこだわりの建築が可能です!
土地面積378.46平米の広々とした敷地です♪
お問い合わせお待ちしております♪
| 物件名 | No.11624267 貝塚市 麻生中 |
||
|---|---|---|---|
| 種別 | 売り土地 売地 (現況:上物有) | ||
| 所在地 | 貝塚市麻生中 | ||
| 交通 | 水間鉄道 石才駅 徒歩5分 水間鉄道 清児駅 徒歩7分 |
||
| 価格 | 2,200万円 (消費税:) | ||
| 土地(実測) | 378.46m2 | 土地(公簿) | |

| 引渡時期 | 相談 | 引渡年月 | |
|---|---|---|---|
| 私道面積 | 地目 | 宅地 | |
| 土地権利 | 所有権 | 地勢 | 平坦 |
| 建蔽率 | 60% | 容積率 | 200% |
| 接道状況 | 二方 | 国土法届出 | 否 |
| 接道方向 | 西側 | 接道幅員 | 2.9m |
| 接道方向 | 側 | 接道幅員 | 1.2m |
| 接道内容 | |||
| 用途地域 | 準工業地域 | ||
| 都市計画 | 市街化 | ||
| 他制限 | |||
| 学校 | |||
| 設備 | 都市ガス 上水道 | ||
| 開発許可番号 | |||
| 備考 | (I/W) | ||
取引態様 仲介 更新日
リウイルトラスト 本店

〒598-0007
大阪府泉佐野市上町1丁目11-45
【店舗紹介・アクセスマップ】
リウイルトラスト 和泉中央店

〒594-1104
大阪府和泉市万町60-6
【店舗紹介・アクセスマップ】
受付時間/9:00〜18:00
定休日/火曜・水曜